Биотехнология, 2023, T. 39, № 2, стр. 63-71
Перспективы применения обкладочных клеток обонятельной выстилки в терапии экспериментальной болезни Альцгеймера
Е. К. Карсунцева 1, *, А. Д. Воронова 1, О. В. Степанова 1, 4, А. В. Чадин 1, В. В. Шишкина 1, С. С. Андрецова 1, Г. А. Фурса 1, 2, С. В. Шпорт 1, И. В. Решетов 3, 5, В. П. Чехонин 1, 2
1 ФГБУ “Национальный медицинский исследовательский центр психиатрии
и наркологии им. В.П. Сербского” Минздрава России
119034 Москва, Россия
2 ФГАОУ ВО Российский Национальный медицинский университет
им. Н.И. Пирогова Минздрава России
119997 Москва, Россия
3 Университетская клиническая больница №1 Первого Московского государственного
медицмнского университета им. И.М. Сеченова Минздрава России
119435 Москва, Россия
4 ФГБУ Национальный медицинский исследовательский центр кардиологии
имени академика Е.И. Чазова Минздрава России
121522 Москва, Россия
5 Академия постдипломного оразования ФГБУ Федерального
научно-клинического центра ФМБА России
125371 Москва, Россия
* E-mail: katya.karsunceva@gmail.com
Поступила в редакцию 15.06.2023
После доработки 22.06.2023
Принята к публикации 06.07.2023
Аннотация
Болезнь Альцгеймера является неизлечимым нейродегенеративным заболеванием, которое характеризуется быстро прогрессирующей деменцией. Лекарственная терапия замедляет развитие болезни, но не способствует регенерации нервной ткани. Перспективным направлением в поисках эффективного лечения болезни Альцгеймера является клеточная терапия, так как трансплантированные клетки способны участвовать в восстановлении баланса нейротрофических факторов, росте и ремиелинизации аксонов. В данной работе болезнь Альцгеймера моделировали на самцах крыс с помощью стереотаксического введения бета-амилоида в зону гиппокампа. Модель оценивали с помощью поведенческих тестов “открытое поле”, “У-лабиринт”, теста на пассивное избегание, водного лабиринта Морриса. Обкладочные клетки были получены из обонятельной выстилки крыс, помечены прижизненным красителем PKH26 и трансплантированы в зону гиппокампа для изучения их выживаемости. Было показано, что эти клетки выживают в течение 8 недель после трансплантации. Дальнейшее изучение эффективности клеточной терапии обкладочными клетками на экспериментальной модели болезни Альцгеймера открывает перспективы персонализированного лечения этой болезни с использованием клеток обонятельной выстилки, полученными у тех же пациентов.
Болезнь Альцгеймера (БА) является наиболее частой причиной деменции во всем мире. БА в большинстве случаев диагностируется у пациентов старше 65 лет [1], однако нейродегенеративные процессы в головном мозге начинаются задолго до выявления первых симптомов заболевания [2, 3]. При БА в коре головного мозга, гиппокампе и мозжечке наблюдается патологическое отложение бета-амилоида в виде бляшек и нейрофибриллярных клубков, состоящих из тау-белка [4]. Эти процессы сопровождаются нейровоспалением, гибелью большого количества функциональных нейронов, что в результате приводит к выраженной атрофии головного мозга и постепенной утрате когнитивных функций [5, 6]. До сих пор точные причины и механизмы развития БА остаются неизвестными, что ограничивает возможность создания эффективной терапии. Лечение, основанное на применении фармацевтических препаратов, позволяет замедлить течение БА и облегчить симптомы, однако не способствует восстановлению нервной ткани головного мозга [7, 8].
Одним из многообещающих подходов к лечению болезни Альцгеймера является клеточная терапия [5, 9]. Перспектива применения этого метода обусловлена способностью трансплантированных клеток участвовать в регенерации нервной ткани ЦНС, активируя восстановление баланса нейротрофических факторов, рост и ремиелинизацию аксонов [9]. На моделях травматических повреждений головного и спинного мозга, инсультов и различных нейродегенеративных заболеваний была показана эффективность трансплантации мезенхимальных стволовых клеток (МСК), индуцированных плюрипотентных стволовых клеток (иПСК), эмбриональных стволовых клеток (ЭСК), нейральных стволовых прогениторных клеток (НСПК), обкладочных клеток, полученных из различных тканей и органов [5, 9].
С точки зрения персонализированного подхода к лечению БА наиболее перспективно может быть применение клеток обонятельной выстилки носа [10, 11]. Забор клеток этой ткани из носа пациента с БА производится в процессе простой не инвазивной операции. В отделе фундаментальной и прикладной нейробиологии ФГБУ НМИЦ ПН им. В.П. Сербского МЗ РФ нами был разработан и оптимизирован протокол для получения обкладочных клеток из обонятельной выстилки [12, 13]. Данный протокол позволяет получить наиболее обогащенную обкладочными клетками культуру к 3‒4 пассажу [12] в течение 4‒5 недель после забора ткани. Таким образом, такой подход является безопасным для пациента, а аутологичный препарат для терапии БА может быть подготовлен в короткие сроки [12, 13].
Ранее в нашем отделе была показана эффективность трансплантации обкладочных клеток в экспериментальные посттравматические кисты спинного мозга [14‒16]. Трансплантация этих клеток и генно-клеточных продуктов на их основе способствует значительному восстановлению двигательных функций задних конечностей крыс [14‒16]. Есть основания полагать, что обкладочные клетки обонятельной выстилки также будут эффективными и при трансплантации в головной мозг при БА. Однако, нет данных об эффективности их применения в терапии экспериментальной БА, и не изучен главный вопрос клеточной терапии о выживаемости этих клеток после трансплантации в головной мозг.
В связи с этим, целью данной работы было изучение выживаемости обкладочных клеток в головном мозге крыс при терапии экспериментальной болезни Альцгеймера и оценка перспективы персонализированного подхода к лечению пациентов.
УСЛОВИЯ ЭКСПЕРИМЕНТА
Работа проводилась на самцах крыс линии Вистар (n = 16) в возрасте 4 мес. Исследование одобрено локальным этическим комитетом ФГБУ НМИЦ ПН им. В.П. Сербского МЗ РФ и выполнено в соответствии с положениями Директивы 2010/63/EU Европейского парламента и Совета ЕС по охране животных, используемых в научных целях.
Моделирование БА проводилось методом внутригиппокампального введения 1-42 Aβ (Abcam, Великобритания). Для этого животных анестезировали раствором золетила-100 (40 мг/кг) (Вирбак, Франция) и ксилазина (5 мг/кг) (Alfasan International B.V., Нидерланды), сбривали шерсть на голове от ушей до глаз, обрабатывали кожу спиртовым раствором, после чего с помощью скальпеля проводили разрез кожи головы вдоль срединного шва черепа. Затем оголенные участки соединительной ткани обрабатывали раствором перекиси водорода и с помощью хирургических ножниц и ватных палочек удаляли фрагменты соединительной ткани для визуализации костей черепа в зоне срединного шва, брегмы и лямбды. Далее животное фиксировали на операционном поле и по стереотаксическим координатам (–3, +–2.2, –3.2) вводили 1-42 Aβ в гиппокамп билатерально.
Для оценки когнитивных нарушений у животных после введения 1-42 Aβ были использованы тесты “открытое поле”, “У-лабиринт”, тест на пассивное избегание, водный лабиринт Морриса [17–19]. Тестирование животных начинали проводить через 4 недели после введения 1-42 Aβ [19]. В тесте “открытое поле” каждое животное наблюдали в течение 5 мин с помощью камеры, установленной над ареной, и регистрировали пройденную дистанцию и время нахождения в центральном секторе (Stoelting Co, США).
В Y-лабиринте животное помещали в центр установки, после чего крыса свободно исследовала лабиринт в течение 8 мин. Каждый из рукавов лабиринта был пронумерован (1, 2, 3). Проводили регистрацию очередности заходов в рукава и их количество. Затем осуществляли подсчет триплетов, которые состояли из последовательных заходов в неповторяющиеся отсеки установки. После рассчитывали индекс чередования, как (NS/NT) × 100%, где NS ‒ количество посещенных триплетов, а NT ‒ общее количество заходов в отсеки установки.
Тест на пассивное избегание начинали проводить на 6 неделе после введения бета-амилоида в специальном аппарате (Шелтер, “Нейроботикс”, Россия), представляющем собой пластиковую камеру (40 × 30 × 36 см) с решетчатым полом, которая была разделена перегородкой с отверстием (8 × 8 см) на два одинаковых отсека (светлый и темный). Обучение каждого животного состояло в том, что крысу помещали в светлый отсек, и после ее перехода в темный отсек всеми четырьмя лапами производили удар электрическим током в течение 2 с силой 3 мА. После животное возвращали обратно в клетку. Животных, которые не заходили в темный отсек во время обучения в течение 5 мин, исключали из дальнейшего тестирования. На 3 и 7 день проводили сам тест: крысу снова помещали в светлый отсек и засекали 300 с. Время, проведенное в светлом отсеке, фиксировали как показатель пассивного избегания.
Также на 7‒8 неделе после введения бета-амилоида крыс тестировали в водном лабиринте Морриса для оценки пространственной памяти. Для этого использовали бассейн цилиндрической формы с диаметром 150 см и глубиной 40 см, наполненный теплой водой (23‒24°C). В заданную точку (центр одного из секторов) на 2 см ниже уровня воды помещали круглую пластиковую платформу диаметром 8 см. Обучение животных состояло из 8 заплывов по 1 мин с интервалом в 1 мин. Каждый заплыв начинали из заранее выбранных 7 разных точек. Каждая попытка найти платформу длилась 60 с. Если животное не находило платформу за отведенное время, то его направляли к платформе и давали осмотреться в течение 15 с для запоминания ориентиров поиска. На 3 сутки проводили первое тестирование. Крысу запускали с первой точки и засекали время нахождения платформы. На 7 сутки, платформу убирали из бассейна, крысу также запускали с первой точки и засекали время пребывания животного в секторе, где ранее стояла платформа.
Через 8 недель после введения 1-42 Aβ внутригиппокампально в оба полушария проводили трансплантацию 750 000 обкладочных клеток, меченных прижизненным мембранным красителем PKH26 (Sigma, США). Обкладочные клетки были получены из обонятельной выстилки крыс по разработанным нами протоколам [13]. Для трансплантации были использованы клетки 3‒4 пассажа [12]. Подготовку меченных PKH26 обкладочных клеток проводили согласно протоколу производителя. Трансплантация обкладочных клеток была проведена по тем же стереотаксическим координатам (–3, +–2.2, –3.2), по которым ранее вводили 1-42 Aβ при моделировании БА.
Визуализацию клеток головного мозга проводили с помощью иммунофлуоресцентного метода. Через 8 недель после введения 1-42 Aβ по окончании проведения поведенческих тестов головной мозг опытных и животных контрольной группы забирали для качественной оценки на наличие бета-амилоида (Abcam) и тау (Abcam) белков. Оценку выживаемости обкладочных клеток проводили через 4 и 8 недель после трансплантации по наличию клеток, меченных PKH26. Для забора ткани головного мозга животных интраперитонеально наркотизировали раствором золетила-100 (40 мг/кг) и ксилазина (5 мг/кг), после чего производили декапитацию. Далее извлекали головной мозг и помещали на сут в 10%-ный раствор параформальдегида для фиксации, затем отмывали ФСБ и фиксировали с помощью клея на специальной подставке вибрационного микротома (Thermo Fisher Scientific США). Делали срезы толщиной 40 мкм, которые затем отмывали смесью ФСБ + Твин-20 (50 мкл на 50 мл). Для визуализации ткани головного мозга все срезы были окрашены на маркер компонента микротрубочек нервных клеток бета-3 тубулин (Abcam). В работе были использованы вторичные антитела Alexa (Invitrogen, США). Анализ препаратов проводили с использованием лазерного сканирующего конфокального микроскопа с мультифотонным модулем Nikon A1R MP+ (Япония).
Статистическую обработку данных проводили с помощью программы GraphPad Prism 7.0a. Анализ выборки данных каждой из групп проводили с помощью теста на нормальность Шарипо–Уилка. Для сравнения двух выборок, имеющих нормальное распределение, применяли t-критерий Стьюдента. Для сравнения двух выборок, имеющих ненормальное распределение, применяли тест Манна–Уитни. Данные были представлены в виде среднего ± SD. Различия считали статистически значимыми при p ≤ 0.05.
РЕЗУЛЬТАТЫ И ОБСУЖДЕНИЕ
При проведении экспериментов установлено, что введение 1-42 Aβ способствует значительному ухудшению показателей когнитивных способностей у самцов крыс. По результатам теста “открытое поле” было показано, что на 4 неделе после введения 1-42 Aβ крысы проходят меньшую дистанцию в течение 5 мин наблюдения (рис. 1а) и проводят значительно меньше времени в центральном отсеке (рис. 1b) по сравнению со здоровыми животными. Это свидетельствует об ухудшении подвижности и исследовательской способности у опытной группы крыс по сравнению с контрольной. Кроме того, на 7‒8 неделе было зафиксировано достоверное увеличение времени поиска платформы в водном лабиринте Морриса (рис. 1c), а также уменьшение времени, проводимого в секторе для ее поиска (рис. 1d). Выявленное ухудшение показателей в водном лабиринте Морриса может говорить о снижении способности к обучению и запоминанию, а также о нарушении пространственного ориентирования. Таким образом, полученные данные свидетельствуют о том, что к 8 неделе после введения 1-42 Aβ в гиппокамп у самцов крыс наблюдается целый ряд когнитивных нарушений, которые могут отражать начало развития симптомов болезни Альцгеймера.
Рис. 1.
Результаты поведенческих тестов у крыс после введения бета-амилоида: а ‒ пройденная дистанция в тесте “открытое поле”, b ‒ время, проводимое в центральном секторе в тесте “открытое поле”, c ‒ время поиска платформы в водном лабиринте Морриса, d ‒ время, проводимое в секторе в водном лабиринте Морриса. Fig. 1. The results of behavioral tests in rats after the introduction of beta-amyloid: a ‒ the distance traveled in the “open field” test, b ‒ the time spent in the central sector in the “open field” test, c ‒ the time spent searching for a platform in the Morris water maze, d ‒ the time spent in the sector in the Morris water maze.

Ранее при моделировании болезни Альцгеймера на самках крыс того же возраста, нами обнаружено, что у них значимые когнитивные нарушения по результатам поведенческих тестов также выявляются через 8 недель после введения в гиппокамп бета-амилоида [19]. Таким образом, введение бета-амилоида приводит к развитию признаков БА у самок и самцов в одни и те же сроки, то есть разработанная нами модель БА работает на крысах обоих полов. Исследования в области БА и разработки подходов к ее лечению важно проводить одновременно на самках и самцах экспериментальных животных, так как женщины и мужчины в равной степени страдают от данного заболевания [20]. Учитывая выявление значимых нарушений когнитивных функций к 8 неделе после введения в гиппокамп крыс бета-амилоида, именно этот срок можно считать оптимальным для дальнейшего изучения влияния клеточной терапии на восстановление нервной ткани и когнитивных функций у крыс со смоделированной БА.
С помощью метода иммунофлуоресценции было визуально оценено наличие бета-амилоида (рис. 2) при анализе срезов головного мозга крыс через 8 недель после моделирования БА. При визуальной оценке не было выявлено различий в накоплении бета-амилоида у животных экспериментальной группы (рис. 2.1 ) и контрольной группы (2.2).
Рис. 2.
Выявление бета-амилоида в головном мозге крысы через 8 недель после введения бета-амилоида (слева/2.1) и интактного животного (справа/2.2). a ‒ наложение изображений, b ‒ окраска ядер DAPI, c ‒ окраска нейронов на бета-3 тубулин, d ‒ окраска на бета-амилоид. Стрелкой указаны отложения бета-амилоида. Масштабная линейка: на рис 2.1 ‒ 50 µ, на рис 2.2 ‒ 50 µ. Fig. 2. Detection of beta-amyloid in the rat brain 8 weeks after administration of beta-amyloid (left/2.1) and intact animal (right/2.2). a – merge images, b – coloring of DAPI nuclei, c – coloring of neurons on beta-3 tubulin, d – coloring on beta-amyloid. The arrow indicates the deposits of beta-amyloid. The scale ruler: fig. 2.1 – 50 µ, fig. 2.2 –50 µ.

Также иммунофлуоресцентный анализ срезов головного мозга крыс не выявил визуальных различий в накоплении тау-белка у крыс через 8 недель после введения бета-амилоида (рис. 3.1 ) и у животных контрольной группы (рис. 3.2 ).
Рис. 3.
Выявление тау белка в головном мозге крысы через 8 недель после введения бета-амилоида (слева/3.1) и интактного животного (справа/3.2). a ‒ наложение изображений, b ‒ окраска ядер DAPI, c ‒ окраска нейронов на бета-3 тубулин, d ‒ окраска на тау белок. Стрелкой указаны отложения тау белка. Масштабная линейка: на рис 3.1 ‒ 20 µ, на рис 3.2 ‒ 20 µ. Fig. 3. Detection of tau protein in rat brain 8 weeks after administration of beta-amyloid (left/3.1) and intact animal (right/3.2). a – merge images, b – coloring of DAPI nuclei, c – coloring of neurons on beta-3 tubulin, d – coloring on tau protein. The arrow indicates the deposits of tau protein. The scale ruler: fig. 3.1 – 20 µ, fig. 3.2 – 20 µ.

В дальнейших исследованиях для количественного измерения этих белков нами будут использованы методы ИФА и ПЦР. Для оценки изменений при смоделированной БА планируется применение поведенческих тестов. В многочисленных исследованиях на крысах и мышах было показано, что в головном мозге грызунов патологическое накопление бета-амилоида и тау-белка приводит к внутриклеточным и межклеточным отложениям крупных конгломератов, однако структур, подобных бляшкам и клубкам не образуется [4]. Визуализировать в головном мозге грызунов эти структуры возможно только после предварительного введения амилоидных бляшек, выделенных из головного мозга человека с БА [21], а также у трансгенных животных с модификацией генов APP, PS1, PS2 и APOE4 [22, 23].
В данной работе впервые была проведена трансплантация обкладочных клеток в головной мозг в область гиппокампа крыс с экспериментальной БА, а также животным контрольной группы. Показано, что через 4 недели выявляются выраженные скопления PKH26 меченых клеток в головном мозге крыс с БА (рис. 4.1 ) и животных контрольной группы (рис. 4.2 ) в зоне трансплантации, а также в области мозолистого тела. Выявленные клетки имеют веретеновидную форму, характерную для обкладочных клеток [24].
Рис. 4.
Выживаемость обкладочных клеток PKH26 в течение 4 недель после введения в головном мозге интактного животного (слева/4.1) и при смоделированной БА (справа/4.2). a – наложение изображений, b – окраска ядер DAPI, c – окраска нейронов на бета-3-тубулин, d – меченые PKH26 обкладочные клетки. Стрелкой указаны трансплантированные обкладочные клетки. Масштабная линейка: на рис 4.1 – 100 µ, на рис 4.2 – 20 µ. Fig. 4. Survival of PKH26 ensheathing cells for 4 weeks after administration in the brain of an intact animal (left/4.1) and with simulated AD (right/4.2). a – merge image, b – DAPI nuclei staining, c – neuronal staining for beta-3-tubulin, d – labeled PKH26 ensheathing cells. The arrow indicates the transplanted ensheathing cells. Scale ruler: fig. 4.1 – 100 µ, fig. 4.2 – 20 µ.

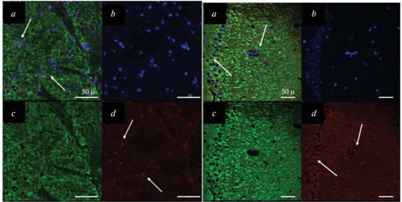
Через 8 недель также выявляются PKH26 меченые клетки в головном мозге крыс с БА (рис. 5.1 ) и в головном мозге животных контрольной группы (рис. 5.2 ), но визуально в меньшем количестве. Таким образом, можно говорить о способности обкладочных клеток выживать в области трансплантации и мигрировать в соседние участки головного мозга как в интактном мозге, так и при патологических процессах в течение 8 недель.
Рис. 5.
Выживаемость обкладочных клеток PKH26 в течение 8 недель после введения в головном мозге интактного животного (слева/5.1) и при смоделированной БА (справа/5.2). А – наложение изображений, Б – окраска ядер DAPI, В – окраска нейронов на бета-3-тубулин, Г – меченые PKH26 обкладочные клетки. Стрелкой указаны трансплантированные обкладочные клетки. Масштабная линейка: на рис 5.1 – 100 µ, на рис 5.2 – 50 µ. Fig. 5. Survival of PKH26 ensheathing cells for 8 weeks after administration in the brain of an intact animal (left/5.1) and with simulated AD (right/5.2). a – merge image, b – DAPI nuclei staining, c – neuronal staining for beta-3-tubulin, d – labeled PKH26 ensheathing cells. The arrow indicates the transplanted ensheathing cells. Scale range: fig. 5.1 – 100 µ, fig. 5.2 – 50 µ.

В ряде исследований по терапии экспериментальной болезни Альцгеймера была проведена трансплантация МСК, НСПК, иСПК, ЭСК из различных источников [5, 9]. Установлено, что данные типы клеток участвуют в нейрорегенерации. Однако, в многочисленных работах было показано, что эти типы клеток способны выживать в нервной ткани в течение всего лишь нескольких дней после трансплантации [25‒27]. Кроме того, получение большого количества иСПК клеток, достаточного для последующей трансплантации, является технически сложной задачей, а применение ЭСК ограничено риском возникновения тератогенного эффекта. Разработанный нами способ получения обкладочных клеток из обонятельной выстилки [13] в короткие сроки позволяет подготовить препарат для трансплантации пациенту [12, 13], Безопасность обкладочных клеток для трансплантации в ЦНС была доказана в доклинических тестах на онкогенность, туморогенность и токсичность, а также ряде клинических испытаний этих клеток на пациентах с травмами спинного мозга [28, 29].
В предыдущих работах была показана выживаемость обкладочных клеток в течение 4 недель после трансплантации в постравматические кисты спинного мозга [30] и значимые эффекты этих клеток [14‒16]. Данные о выживаемости обкладочных клеток обонятельной выстилки в головном мозге при экспериментальной БА получены нашей группой впервые. В зоне гиппокампа и мозолистого тела эти клетки выживают в течение 8 недель, такая длительность расширяет возможности их применения в терапии различных заболеваний ЦНС.
Основным механизмом регенерации, который запускает трансплантация обкладочных клеток, является секреция факторов BDNF, NT-3 и др., которые восстанавливают баланс нейротрофических факторов после повреждения и поддерживает его впоследствии [31, 32]. Нейротрофические факторы способствуют ремиелинизации и поддержанию нейронов, а также выживаемости самих трансплантированных клеток [31, 32]. Кроме того, обкладочные клетки фагоцитируют дебрис, образующийся в нервной ткани при повреждении [33].
Возможно регенеративные процессы в нервной ткани, инициированные этими клетками, могут продолжаться и после их гибели. Накопленные нейротрофические факторы могут долговременно поддерживать нервную ткань [31, 32]. Кроме того, в недавнем исследовании, опубликованном в журнале Nature установлено, что процессы апоптоза трансплантированных клеток связаны с высвобождением большого количества молекул, которые имеют нейропротективную активность [26]. Это означает, что возможная гибель части трансплантированных обкладочных клеток после трансплантации может активировать новую волну регенеративных процессов в головном мозге.
Накопленные в мире знания о регенеративном потенциале обкладочных клеток и полученные в этом исследовании данные об их длительной выживаемости в зоне введения после трансплантации в головной мозг животных при смоделированной БА, а также способность мигрировать в близлежащие его участки создают предпосылки для дальнейшего изучения этих клеток в терапии экспериментальной БА. Исследования в этой области открывают перспективы персонализированного лечения болезни Альцгеймера с помощью клеточной терапии обкладочными клетками обонятельной выстилки, полученными у тех же пациентов.
Список литературы
Prince M., Albanese E., Guerchet M., Prina M. World Alzheimer Report 2014: Dementia and Risk Reduction an Analysis of Protective and Modifiable Factors, 2014.
Lloret A., Esteve D., Lloret M.A., Cervera-Ferri A., Lopez B., Nepomuceno M., Monllor P. When Does Alzheimer’s Disease Really Start? The Role of Biomarkers. Int. J. Mol. Sci., 2019, 20(22), 5536. https://doi.org/10.3390/ijms20225536
Golde T.E. Alzheimer’s disease – the journey of a healthy brain into organ failure. Mol. Neurodegener., 17, 18(2022). https://doi.org/10.1186/s13024-022-00523-1
Lane C.A., Hardy J., Schott J.M. Alzheimer’s disease. Eur. J. Neurol., 2018, 25(1), 59–70. https://doi.org/10.1111/ene.13439
Liu X.Y., Yang L.P., Zhao L. Stem cell therapy for Alzheimer’s disease. World J. Stem Cells. 2020, 12(8), 787–802. https://doi.org/10.4252/wjsc.v12.i8.787
Si Z., Wang X. Stem Cell Therapies in Alzheimer’s Disease: Applications for Disease Modeling. J. Pharmacol. Exp. Ther., 2021, 377(2), 207–217. https://doi.org/10.1124/jpet.120.000324
Appleby B.S., Cummings J.L. Discovering new treatments for Alzheimer’s disease by repurposing approved medications. Curr. Top. Med. Chem., 2013, 13(18), 2306–2327. https://doi.org/10.2174/15680266113136660162
Hansen R.A., Gartlehner G., Webb A.P., Morgan L.C., Moore C.G., Jonas D.E. Efficacy and safety of donepezil, galantamine, and rivastigmine for the treatment of Alzheimer’s disease: a systematic review and meta-analysis. Clin. Interv. Aging., 2008, 3(2), 211–225.
Qin C., Wang K., Zhang L., Bai L. Stem cell therapy for Alzheimer’s disease: An overview of experimental models and reality. Animal Model Exp. Med., 2022, 1, 15–26. https://doi.org/10.1002/ame2.12207
Yao R., Murtaza M., Velasquez J.T., Todorovic M., Rayfield A., Ekberg J., Barton M., St John J. Olfactory Ensheathing Cells for Spinal Cord Injury: Sniffing Out the Issues. Cell Transplant., 2018, 6, 879–889. https://doi.org/10.1177/0963689718779353
Afhami M., Hashemi M., Afshari K., Chenari J., Tavangar S.M., Hadjighassem M., Dehpour A., Muhammadnejad A., Haj-Mirzaian A., Rahimi-Movaghar V. Acute Transplantation of Human Olfactory Mucosa-Derived Olfactory Ensheathing Cells Fails to Improve Locomotor Recovery in Rats. Acta Med. Iran., 2018, 56(7), 421–428.
Voronova A.D., Stepanova O.V., Valikhov M.P., Chadin A.V., Dvornikov A.S., Reshetov I.V., Chekhonin V.P. Preparation of Human Olfactory Ensheathing Cells for the Therapy of Spinal Cord Injuries. Bull. Exp. Biol. Med., 2018, 164б, 523–527. https://doi.org/10.1007/s10517-018-4025-x
Чехонин В.П., Степанова О.В., Решетов И.В., Воронова А.Д., Чадин А.В., Валихов М.П. Способ получения препарата обкладочных клеток обонятельной выстилки млекопитающих для лечения травм спинного мозга. RU 2676142 C2, опубл. 26.12.2018, бюлл. №36.
Stepanova O.V., Voronova A.D., Chadin A.V., Valikhov M.P., Abakumov M.A., Reshetov I.V., Chekhonin V.P. Isolation of Rat Olfactory Ensheathing Cells and Their Use in the Therapy of Posttraumatic Cysts of the Spinal Cord. Bull. Exp. Biol. Med., 2018, 165, 132–135. https://doi.org/10.1007/s10517-018-4114-x
Stepanova O.V., Voronova A.D., Chadin A.V., Valikhov M.P., Semkina A.S., Karsuntseva E.K., Chekhonin I.V., Shishkina V.S., Reshetov I.V., Chekhonin V.P. Efficiency of Human Olfactory Ensheathing Cell Transplantation into Spinal Cysts to Improve Mobility of the Hind. Stem Cells Dev., 2019, 28(18), 1253–1263. https://doi.org/10.1089/scd.2019.0092
Stepanova O.V., Voronova A.D., Sosnovtseva A.O., Stepanenko A.A., Chadin A.V., Karsuntseva E.K., Fursa G.A., Valikhov M.P., Semkina A.S., Vorobyev P.O., Reshetov I.V., Chekhonin V.P. Study of the Therapeutic Efficiency of Transduced Olfactory Ensheathing Cells in Spinal Cord Cysts. Stem Cells Dev., 2022, 31(1‒2), 9–17. https://doi.org/10.1089/scd.2021.0265
Morozova A., Zubkov E. Strekalova T., Kekelidze Z., Storozeva Z., Schroeter C.A., Bazhenova N., Lesch K.P., Cline B.H., Chekhonin V. Ultrasound of alternating frequencies and variable emotional impact evokes depressive syndrome in mice and rats. Prog. Neuropsychopharmacol. Biol. Psychiatry, 2016, 4(68), 52–63. https://doi.org/10.1016/j.pnpbp.2016.03.003
Zubkov E.A., Zorkina Y.A., Gurina O.I., Melnikov P.A., Morozova A.Y., Chekhonin V.P. Prenatal exposure to brain-specific anion transporter-1-specific monoclonal antibodies impairs cognitive function in post-natal life. Neuropeptides, 2017, 65, 100–105. https://doi.org/10.1016/j.npep.2017.07.001
Карсунцева Е.К., Воронова А.Д., Чадин А.В., Шишкина В.В., Фурса Г.А., Андрецова С.С., Решетов И.В., Степанова О.В., Чехонин В.П.. Применение поведенческих тестов для оценки экспериментальной модели болезни Альцгеймера на самках крыс. Клеточные технологии в биологии и медицине, 14–19.
Andrew M.K., Tierney M.C. The puzzle of sex, gender and Alzheimer’s disease: Why are women more often affected than men? Womens Health, 2018, 26(14). https://doi.org/10.1177/1745506518817995
Baerends E., Soud K., Folke J. et al. Modeling the early stages of Alzheimer’s disease by administering intracerebroventricular injections of human native Aβ oligomers to rats. Acta Neuropathol. Commun., 2022, 10, 113. https://doi.org/10.1186/s40478-022-01417-5
Campos H.C., Ribeiro D.E., Hashiguchi D. et al. Distinct Effects of the Hippocampal Transplantation of Neural and Mesenchymal Stem Cells in a Transgenic Model of Alzheimer’s Disease. Stem Cell Rev. Rep., 2022, 18(2), 781–791. https://doi.org/10.1007/s12015-021-10321-9
Petrasek T., Vojtechova I., Lobellova V. et al. The McGill Transgenic Rat Model of Alzheimer’s Disease Displays Cognitive and Motor Impairments, Changes in Anxiety and Social Behavior, and Altered Circadian Activity. Front Aging Neurosci., 2018, 10, 250. https://doi.org/10.3389/fnagi.2018.00250
Neetu Singh, Saroj Chooramani Gopal, Rajeshwar Nath Srivastava, Tulika Chandra, Satya Prakash Agarwal, Sanjay Kumar Singh, Devendra Kumar Gupta and Anil Kumar Balapure J. In vitro Maintenance of Olfactory Mucosa: with Enriched Olfactory Ensheathing Cells. Stem Cell Res. Ther., 2013, 3, 132.
Chhabra H.S., Sarda K. Stem cell therapy in spinal trauma: does it have scientific validity? Indian J. Orthop., 2015, 49(10), 56–71.
fMeißner E.M., Neunteibl S., Günther M., Kahnt J., Dolga A., Xie C., Plesnila N., Zhu C., Blomgren K., Culmsee C. Dying transplanted neural stem cells mediate survival bystander effects in the injured brain. Cell Death Dis. 2023, 14(3), 173. doi: Erratum in: Cell Death Dis., 2023, 14(3), 203.https://doi.org/10.1038/s41419-023-05698-z
Lee S., Choi E., Cha M.-J., Hwang K. Cell Adhesion and Long-Term Survival of Transplanted Mesenchymal Stem Cells: A Prerequisite for Cell Therapy. Oxid. Med. Cell. Longev., 2015, 2015:632902. https://doi.org/10.1155/2015/632902
Mackay-Sim A., St John J.A. Olfactory ensheathing cells from the nose: clinical application in human spinal cord injuries. Exp Neurol., 2011, 229(1), 174–180. https://doi.org/10.1016/j.expneurol.2010.08.025
Tabakow P., Jarmundowicz W., Czapiga B. et al. Transplantation of autologous olfactory ensheathing cells in complete human spinal cord injury. Cell Transplant., 2013, 22(9), 1591–1612. https://doi.org/10.3727/096368912X663532
Воронова А.Д., Валихов М.П., Степанова О.В., Мельников П.А., Чадин А.В., Сидорук К.Н., Семкина А.А., Абакумов М.А., Решетов И.В., Чехонин В.П. Выживаемость и миграция обкладочных клеток обонятельной выстилки крыс при трансплантации в посттравматические кисты спинного мозга. Клеточные технологии в биологии и медицине, 2018, 3, 139–145.
Keefe K., Sheikh I., Smith G. Targeting Neurotrophins to Specific Populations of Neurons: NGF, BDNF, and NT-3 and Their Relevance for Treatment of Spinal Cord Injury. Int. J. Mol. Sci., 2017, 18(3), 548. https://doi.org/10.3390/ijms18030548
Lin X.Y., Lai B.Q., Zeng X., et al. Cell Transplantation and Neuroengineering Approach for Spinal CordInjury Treatment: A Summary of Current Laboratory Findings and Review of Literature. Cell Transplant., 2016, 25(8), 1425–1438. https://doi.org/10.3727/096368916X690836
Nazareth L., St John J., Murtaza M., and Ekberg J. Phagocytosis by peripheral glia: Importance for nervous system functions and implications in injury and disease. Front. Cell. Dev. Biol., 2021, 9, 660259. https://doi.org/10.3389/fcell.2021.660259
Дополнительные материалы отсутствуют.


